• Diễn đàn Bút Nghiên thảo luận về các chủ đề lịch sử, khởi nghiệp, kinh doanh và phát triển doanh nghiệp, xã hội. Cảm ơn!
    Liên hệ Facebook: Diễn đàn Bút Nghiên

Hoạt động mới nhất

  • Hide Nguyen
    🛑 Khoảng tối nay, bão Ragasa được dự báo sẽ di chuyển vào biển Đông (thành cơn bão số 9). Sau khi vào biển Đông bão di chuyển nhanh hơn...
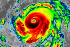
  • Bút Nghiên
    Bút Nghiên đã đăng chủ đề mới.
    🛑 Khoảng tối nay, bão Ragasa được dự báo sẽ di chuyển vào biển Đông (thành cơn bão số 9). Sau khi vào biển Đông bão di chuyển nhanh hơn...
    • FB_IMG_1758516505968.jpg
  • N
    nhuhong đã đăng chủ đề mới.
    Cửa vòm không chỉ là một phần của kiến trúc, mà còn là một tác phẩm nghệ thuật mang lại vẻ đẹp vượt thời gian cho ngôi nhà. Với thiết kế...
  • T
    thanhmai2501 đã đăng chủ đề mới.
    THÔNG TIN TUYỂN DỤNG Số lượng: 10 người Thời gian làm việc: 8h00 – 17h30 (Thứ 2 – Thứ 7), nghỉ Chủ nhật Khu vực làm việc: Các quận...
  • N
    nhuhong đã đăng chủ đề mới.
    Trong thế giới nội thất ngày nay, khi xu hướng hiện đại và công nghệ ngày càng lên ngôi, thì cửa gỗ tự nhiên vẫn giữ vững vị thế là lựa...
    • 1757198145040.png
    • 1757198145057.png
    • 1757198145049.png
  • Bút Nghiên
    Bút Nghiên đã đăng chủ đề mới.
    Có nhiều người nói, 100.000 tặng mỗi người dân dịp Tết Độc lập chẳng đáng bao nhiêu, để tiền đó cho việc ý nghĩa hơn. Nhưng nghĩ lại...
    • FB_IMG_1756691594357.jpg
  • Bút Nghiên
    Bút Nghiên đã đăng chủ đề mới.
    Ngày 2/9/2025, toàn thể nhân dân Việt Nam long trọng kỷ niệm 80 năm Cách mạng Tháng Tám thành công và Quốc khánh nước Cộng hòa Xã hội...
    • Xe tăng A80.jpg
  • Bút Nghiên
    Bút Nghiên đã đăng chủ đề mới.
    THÔNG BÁO PHÂN LUỒNG GIAO THÔNG PHỤC VỤ TỔNG DUYỆT LỄ KỶ NIỆM 80 NĂM CÁCH MẠNG THÁNG TÁM THÀNH CÔNG VÀ QUỐC KHÁNH NƯỚC CỘNG HÒA XÃ HỘI...
    • 769.jpg
  • Bút Nghiên
    HÌNH ẢNH NGƯỜI MẸ LIỆT SĨ 93 TUỔI LẦN ĐẦU VIẾNG MỘ CON TRAI: “MẸ TOẠI NGUYỆN RỒI” Bà Hoàng Thị Tề, 93 tuổi, người mẹ có con hi sinh ở...
    • NGƯỜI MẸ LIỆT SĨ.jpg
  • Bút Nghiên
    Bút Nghiên đã đăng chủ đề mới.
    HÔM NAY (27/7) – NGÀY TRI ÂN NHỮNG NGƯỜI ĐÃ HY SINH VÌ TỔ QUỐC 78 năm đã trôi qua kể từ Ngày Thương binh - Liệt sĩ (27/7/1947 -...
    • Doi doi nho on.jpg
  • Hide Nguyen
    Hide Nguyen đã đăng chủ đề mới.
    Chúng ta tuyệt đối không được cổ vũ, kích động chiến tranh giữa Campuchia - Thái Lan và cũng đừng đứng về một phía, ủng hộ Thái Lan xâm...
    • FB_IMG_1753407667894.jpg
Back
Top